Weather Satellite Live Stream
.jpg)
Welcome to rob s live weather radar page welcome to live weather radar i am always looking to improve the weather radars on this site.
Weather satellite live stream. We fixed are https or ssl certificates improved load times improved radar and added your local radar to follow your location. While derived from operational satellites the data products and imagery available on this website are intended for informational purposes only. More maps will be coming. Download imagery via the maps below.
View live satellite images for free. Watch the farearth observer to see what landsat sees live. Use this web map to zoom in on real time weather patterns developing around the world. Live video of earth from space as seen from the nasa iss live stream aboard the international space station.
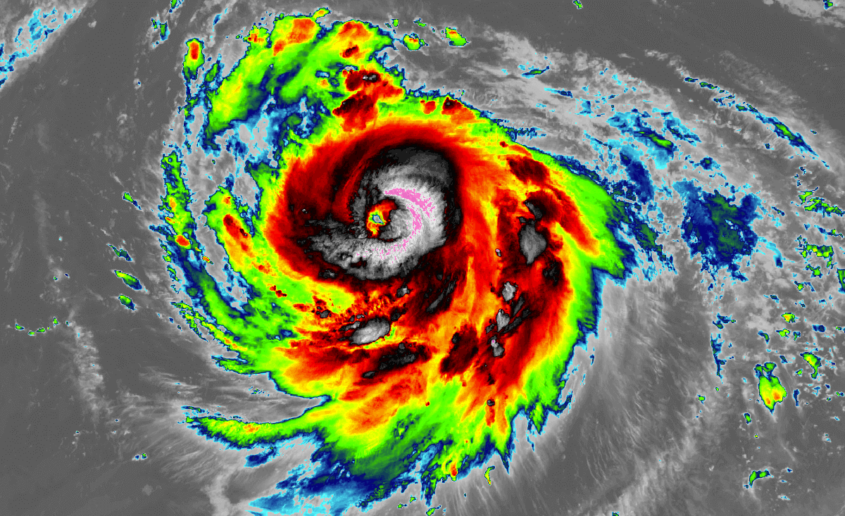
Track storms hurricanes and wildfires. Twc broadcasts weather news analysis special reports and entertainment programming related to the weather i e. Many of the terrestrial and satellite radio stations online news platforms and newspapers are served by the resources and content of the channel. Explore the world in real time launch web map in new window noaa satellite maps latest 3d scene this high resolution imagery is provided by geostationary weather satellites permanently stationed more than 22 000 miles above the earth.
The ineractive map makes it easy to navitgate around the globe. Ground receiving stations around the world downlink image data from the satellite when it passes over the station the satellite takes images of the earth below and streams it down to the station in real time. Movies and documentaries etc. Tropical weather outlook the tropical weather outlook is a discussion of significant areas of disturbed weather and their potential for development during the next 5 days.
Zoom into recent high resolution maps of property. Watch the weather channel live streaming online.